조황관리HOME / 조황관리 / 상세정보

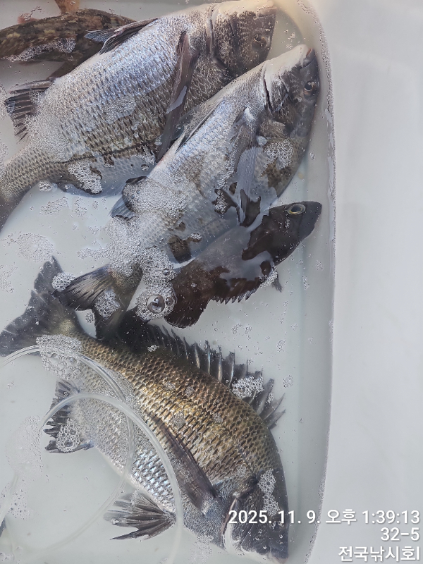
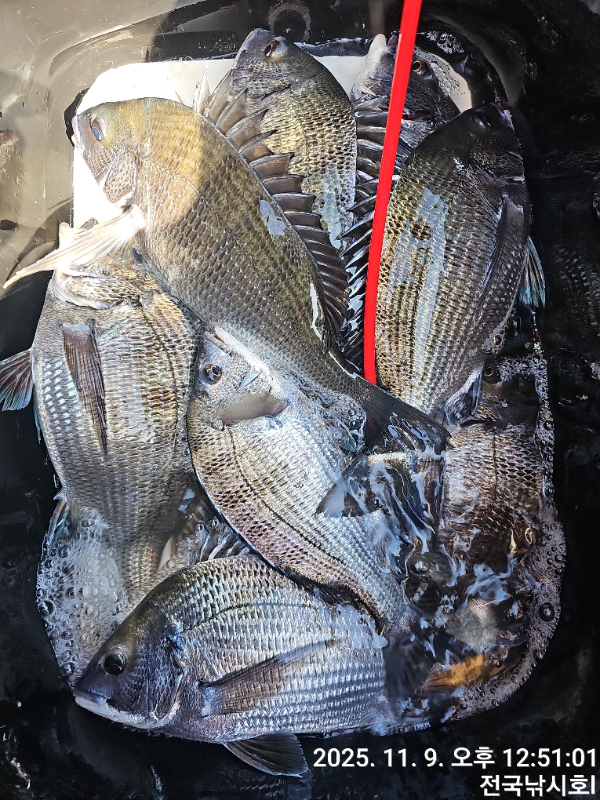
제목 : 9일 전국 낚시호 조황 입니다
등록일 : 2025-11-09
오늘도 전국 낚시호를 찿아 주셔서 감사 합니다 항상 변함 없이 최선을 다하는 모습으로 보답 하겠 습니다 
다음 출조는 화요일 부터 이어 갑니다 
함께 하실 조사님 연락 주시면 단 한분의 조사님도 최선을 다해서 가이드 하겠 습니다 

고흥 전국 낚시호 
010 4626 8963
1000034771.jpg


1000034770.jpg


1000034769.jpg


1000034768.jpg


1000034767.jpg


1000034766.jpg


1000034765.jpg


1000034764.jpg

1000034763.jpg


1000034760.jpg


1000034759.jpg


1000034758.jpg





*** 고흥 전국 낚시호 예약 안내 ***


예약문의 : 010-4626-8963

오시는길 : 전남 고흥군 풍양면 천마로 1418-17 (구 해양파출소)

모바일.gif 

Top