조황관리HOME / 조황관리 / 상세정보

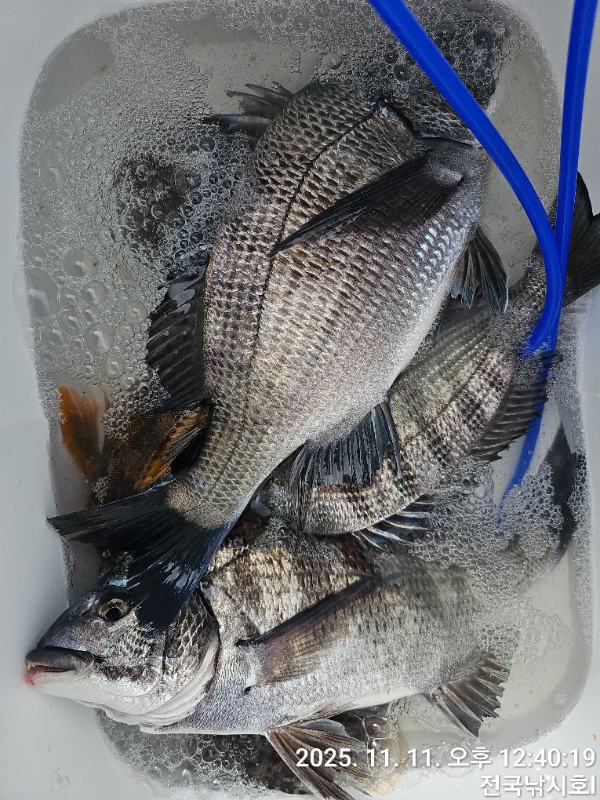
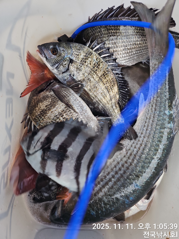
제목 : 11일 전국 낚시호 조황 입니다
등록일 : 2025-11-11
오늘도 전국 낚시호를 찿아 주셔서 감사 합니다 항상 변함 없이 최선을 다하는 모습으로 보답 하겠 습니다 
다음 출조는 목요일 부터 출항 합니다 
목.금 야영 가능 합니다
함께 하실 조사님 연락 주시면 단 한분의 조사님도 최선을 다해서 가이드 하겠 습니다 

고흥 전국 낚시호 
010 4626 8963
1000034834.jpg


1000034832.jpg


1000034830.jpg


1000034829.jpg


1000034828.jpg


1000034827.jpg


1000034826.jpg


1000034825.jpg

1000034821.jpg





*** 고흥 전국 낚시호 예약 안내 ***


예약문의 : 010-4626-8963

오시는길 : 전남 고흥군 풍양면 천마로 1418-17 (구 해양파출소)

모바일.gif 

Top