조황관리HOME / 조황관리 / 상세정보

제목 : 24일 고흥 전국 낚시호 조황 입니다
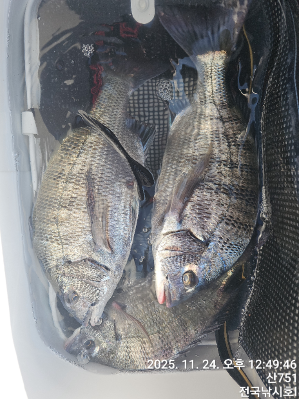
등록일 : 2025-11-24
오늘도 전국 낚시호를 찿아 주셔서 감사 합니다 항상 변함 없이 최선을 다하는 모습으로 보답 하겠 습니다 

고흥 전국 낚시호 
010 4626 8963
1000035485.jpg


1000035487.jpg


1000035488.jpg


1000035486.jpg


1000035489.jpg


1000035490.jpg


1000035492.jpg


1000035495.jpg


1000035494.jpg

1000035495.jpg


1000035500.jpg


1000035499.jpg


1000035496.jpg





*** 고흥 전국 낚시호 예약 안내 ***


예약문의 : 010-4626-8963

오시는길 : 전남 고흥군 풍양면 천마로 1418-17 (구 해양파출소)

모바일.gif 

Top