조황관리HOME / 조황관리 / 상세정보

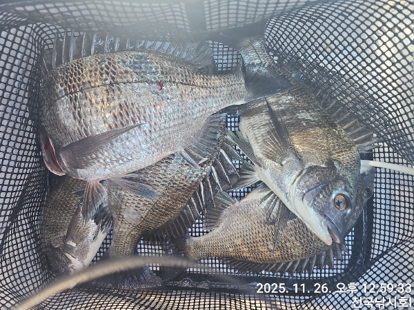
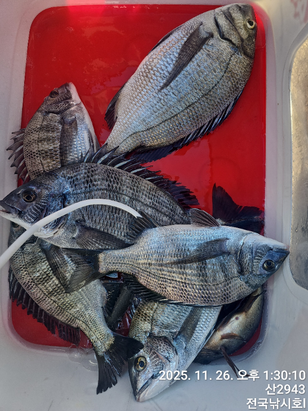
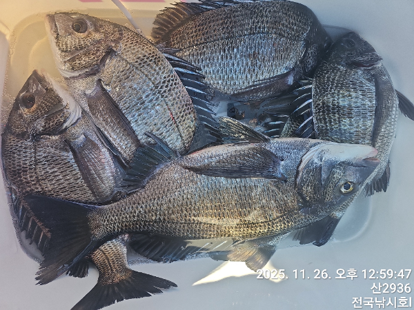
제목 : 26일 고흥 전국 낚시호 조황 입니다
등록일 : 2025-11-26
오늘도 전국 낚시호를 찿아 주셔서 감사 합니다 항상 변함 없이 최선을 다하는 모습으로 보답 하겠 습니다 
내일은 기상이 좋질 못해서 하루 쉬고 금요일 부터 출조 합니다 

고흥 전국 낚시호 
010 4626 8963
1000035579.jpg


1000035577.jpg


1000035574.jpg


1000035571.jpg


1000035572.jpg


1000035573.jpg


1000035570.jpg


1000035559.jpg


1000035578.jpg


1000035575.jpg


1000035576.jpg






*** 고흥 전국 낚시호 예약 안내 ***


예약문의 : 010-4626-8963

오시는길 : 전남 고흥군 풍양면 천마로 1418-17 (구 해양파출소)

모바일.gif 

Top