조황관리HOME / 조황관리 / 상세정보

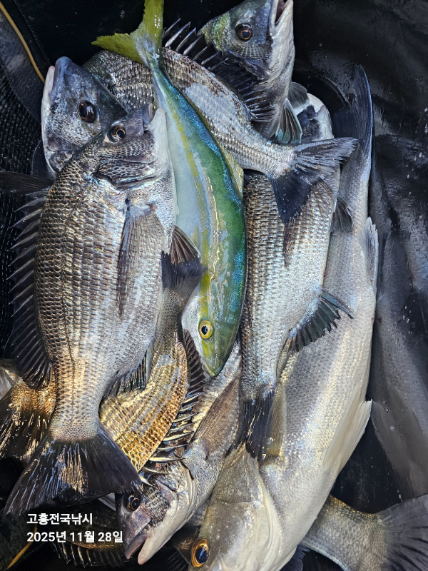
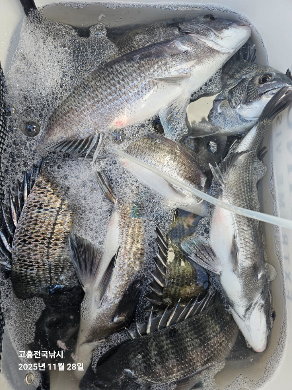
제목 : 28일 고흥 전국 낚시호 조황 입니다
등록일 : 2025-11-28
오늘도 전국 낚시호를 찿아 주셔서 감사 합니다 항상 변함 없이 최선을 다하는 모습으로 보답 하겠 습니다 

고흥 전국 낚시호 
010 4626 8963
1000035678.jpg


1000035677.jpg


1000035676.jpg


1000035673.jpg


1000035674.jpg


1000035675.jpg


1000035672.jpg


1000035671.jpg


1000035670.jpg


1000035669.jpg

1000035668.jpg


1000035667.jpg





*** 고흥 전국 낚시호 예약 안내 ***


예약문의 : 010-4626-8963

오시는길 : 전남 고흥군 풍양면 천마로 1418-17 (구 해양파출소)

모바일.gif 

Top