조황관리HOME / 조황관리 / 상세정보

제목 : 22일 전국 낚시호 조황 입니다
등록일 : 2026-03-22
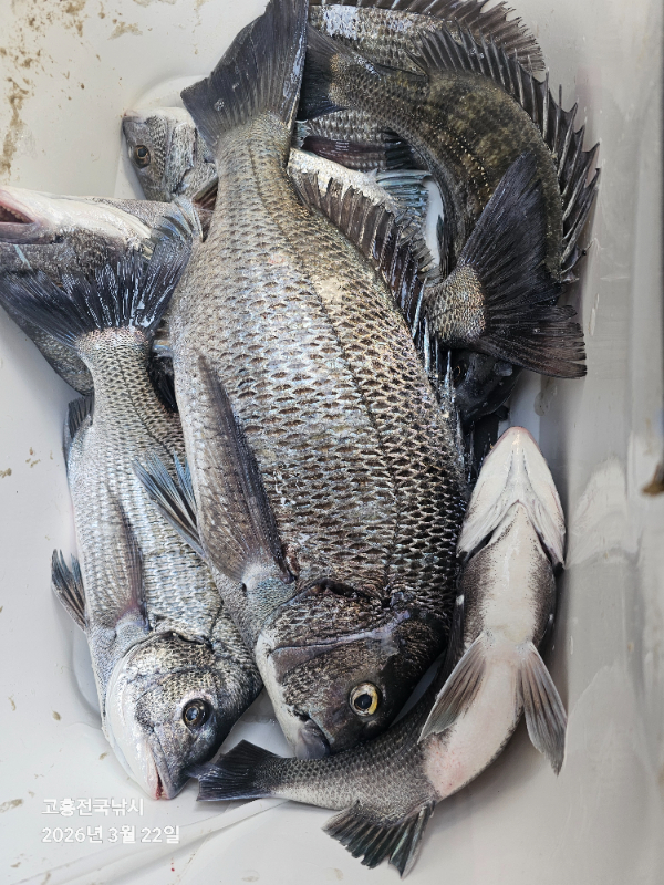
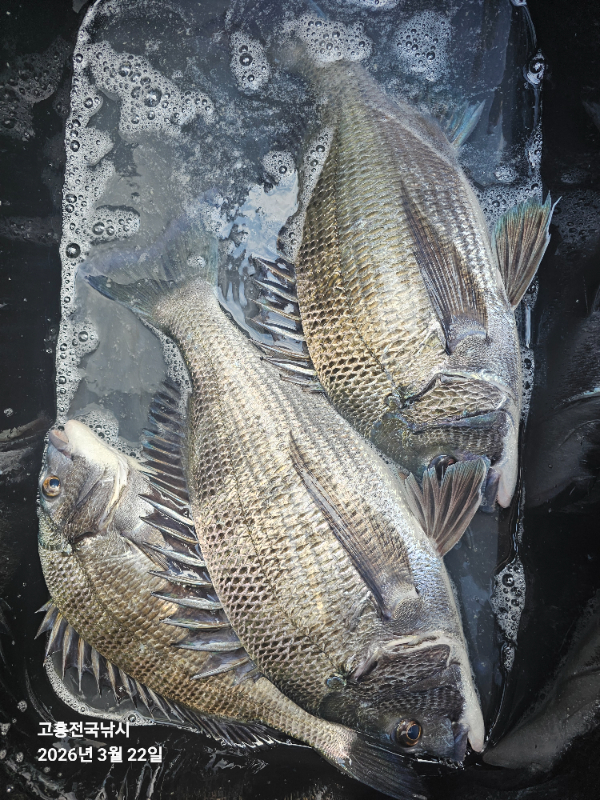
감성돔은 초도 조황 이구요
부시리 참돔은 거문도 선상 조황 입니다 
오늘도 전국 낚시호를 찿아 주셔서 감사 합니다 항상 변함 없이 최선을 다하는 모습으로 보답 하겠 습니다 
1000039362.jpg


1000039359.jpg


1000039360.jpg


1000039361.jpg


1000039364.jpg


1000039370.jpg


1000039363.jpg


내일도 새벽 느즈막히 초도 군도로 출조 합니다 


고흥 전국 낚시호 
010 4626 8963
1000039375.jpg


1000039374.jpg


1000039373.jpg


1000039368.jpg


1000039343.jpg


1000039344.jpg


1000039314.jpg


1000039313.jpg




*** 고흥 전국 낚시호 예약 안내 ***


예약문의 : 010-4626-8963

오시는길 : 전남 고흥군 풍양면 천마로 1418-17 (구 해양파출소)

모바일.gif 

Top